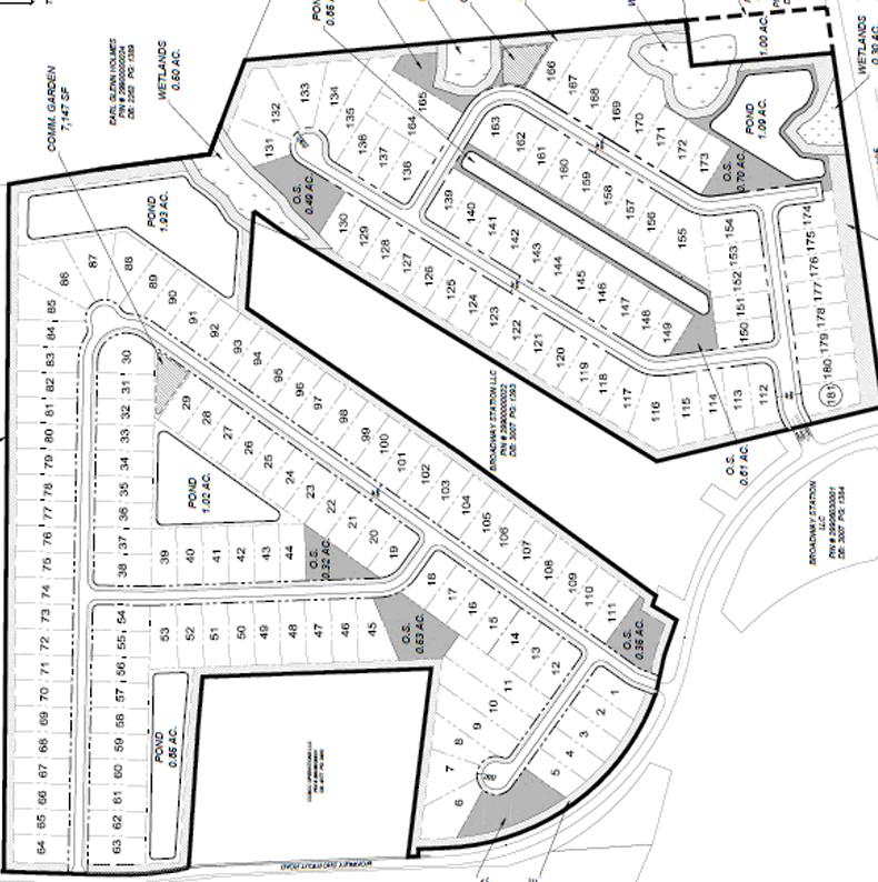
Preliminary plans from Beazer are showing approximately 173 single family homes in the new home community of Ambridge in Conway.
Beazer Homes will open VIP appointments for their highly anticipated new community, Ambridge in Conway, starting September 12, 2025. This exclusive opportunity gives early buyers priority access to homesites, floorplans, and special introductory pricing before the official sales release.
Beazer will be offering five different single-family home plans in the new home community of Ambridge in Conway:
Beazer is offering five different single-family home plans in the new home community of Ambridge in Conway:
(1) Camden – 3 bedrooms, 2 bathrooms, 1,639 to 1,796 square feet of living space. The Camden plan is a single-story home that features a bright, open-concept kitchen, dining area, and great room, making it easy to entertain or catch up on the family's day. The private primary suite at the rear of the home with an attached bathroom and large closet is the ideal place to retreat.
Beazer is offering the Camden floor plan in Ambridge starting at $299,000.
(2) Georgetown – 2 bedrooms, 2 bathrooms, 1,835 to 1,995 square feet of living space. A spacious and welcoming foyer invites guests into the Georgetown, a single-story home featuring an open-concept kitchen, dining room, and living room, perfect for entertaining. Enjoy making meals and memories in the well equipped kitchen with plenty of counter space.
Beazer is offering the Georgetown floor plan in Ambridge starting at $320,000.
(3) Savannah – 3 to 4 bedrooms, 2.5 bathrooms, 2,049 to 2,908 square feet of living space. The single-family Savannah plan is a one-story home featuring a spacious kitchen that flows into the great room, perfect for entertaining guests. The large primary suite boasts a massive closet that you won't believe!
Beazer is offering the Savannah floor plan in Ambridge starting at $335,000.
(4) Windsor – 3 bedrooms, 2 bathrooms, 2,336 to 2,350 square feet of living space. The Windsor is a beautiful two-story single-family home featuring a bright, open foyer that will wow your guests and make a great first impression. The spacious kitchen flows seamlessly into the great room and breakfast area, creating open-concept space perfect for entertaining and everyday living.
Beazer is offering the Windsor floor plan in Ambridge starting at $354,000.
(5) Conway – 5 bedrooms, 3 to 4 bathrooms, 2,571 to 2,693 square feet of living space. The Conway is a two story single-family home! Step into a warm, inviting foyer that opens to a bright kitchen and cozy great room. Upstairs, unwind in the spacious loft and extra bedrooms—perfect for family time, movie nights, or hosting loved ones in comfort and style.
Beazer is offering the Conway floor plan in Ambridge starting at $369,000.
Beazer has been building houses for over nine generations and is well committed to building in Myrtle Beach and the surrounding areas of Myrtle Beach. Beazer Homes USA Inc., is headquartered in Atlanta, and is one of the nation's top homebuilders with homes for sale across the United States. Beazer builds homes that meet and exceed ENERGY STAR® requirements while appealing to homebuyers at various price points across various demographic segments. In addition to saving energy, Beazer homes allow personalization through their Choice Plans™ and design upgrades. The Beazer long-term business strategy focuses on providing customers with quality homes, while seeking to maximize return on invested capital over time. Beazer Homes’ legacy includes building homes for America’s families for over 50 years. Beazer Homes has been listed on the New York Stock Exchange since 1994 under the ticker symbol “BZH”.