New Homes Myrtle Beach News
New Homes in Myrtle Beach
(843) 940-3609
Myrtle Beach New Home Community News
Myrtle Beach
New Home
Community
NEWS
Myrtle Beach New Home Community News

News Date: 09/14/2025

News Title: The development plan for the new Sailors Haven community, initially denied, is facing challenges and may ultimately be decided in court.
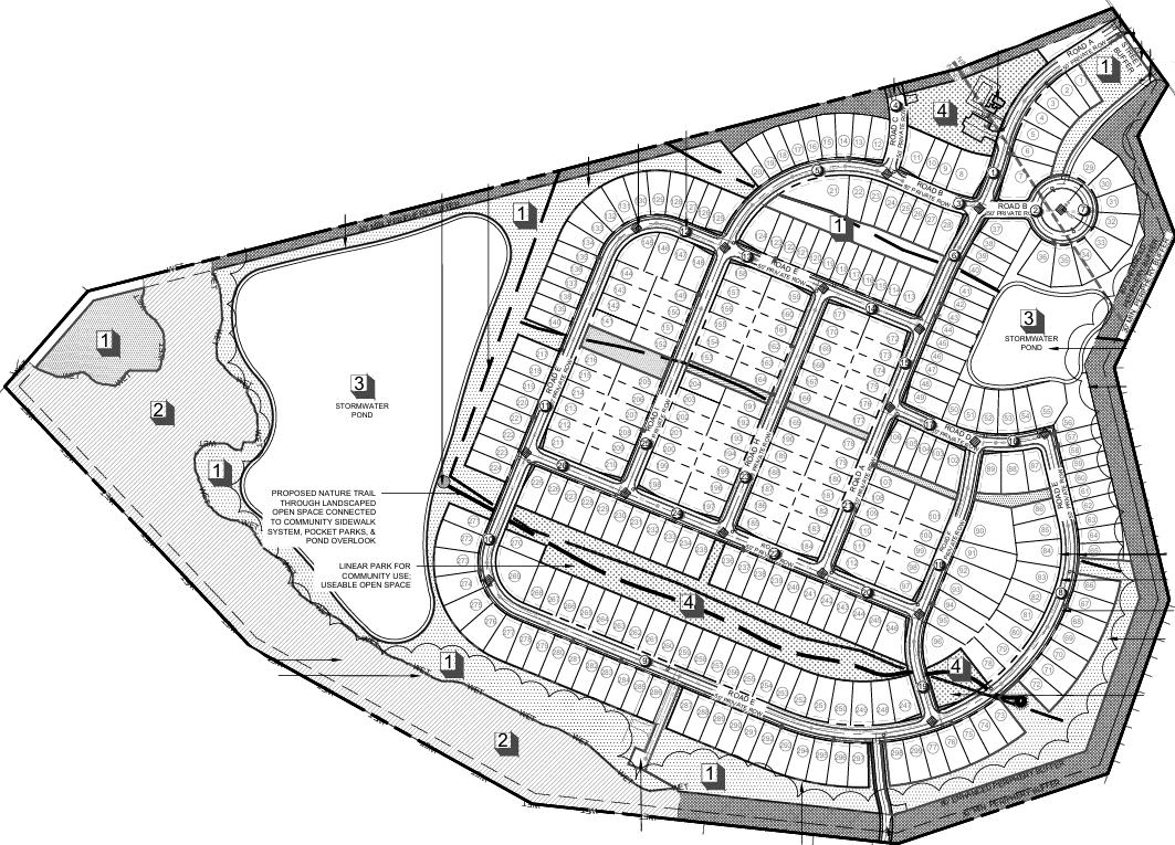
The new home community of Sailors Haven is being planned at the northwest corner of where NC 179 (Beach Drive SW) and NC 904 (Seaside Road) intersect.

Preliminary plans for the Sailors Haven Planned Development are 299 single family homes on an approximately 117.36 acres of land.

At this point, Coastal Cornerstone Development is expected to be the land developer for this property.

Timing for development and sales in the new home community of Sailor’s Haven has not yet been announced.

The development plan for the new Sailors Haven community is being contested and may proceed to court for resolution

The Brunswick County Planning Board has denied the proposed planned development citing concerns about stormwater drainage, entrances/exits, and traffic – even though the developers were going to build stormwater ponds to a 100-year event and include additional buffering between wetlands and lots, with all lots to be located outside of a flood plain.

The developer has now filed a lawsuit citing that the Planning Board’s decision did not actually provide a specific violation under the Brunswick County’s Unified Development Ordinance.

The county has asked for an extension through Oct. 18 to prepare its response, which was granted.

Supporting information regarding this matter is as follows:

Unified Development Ordinance

The Brunswick County Unified Development Ordinance (UDO) is a single, comprehensive document that combines and integrates traditional land-use regulations, such as zoning and subdivision rules, into one coherent framework. Its main goal is to streamline development processes, avoid conflicting regulations, and ensure that future growth aligns with a community's overall vision and policies by providing a single source for all land and building development regulations. The Brunswick County UDO was revised and readopted on March 16, 2015, with its most recent revision on August 19, 2024.

View the Unified Development Ordinance (UDO) of Brunswick County, North Carolina (PDF).

Stormwater (100-year event)

To build a stormwater pond for a 100-year event means designing it to handle a storm that has a 1% chance of occurring in any given year. The pond must be capable of capturing, holding, and safely discharging the large volume of runoff produced by this extreme rainfall event without causing flooding to surrounding property. The term "100-year" is often misunderstood. It does not mean the event will happen only once every century, and having one 100-year storm does not mean another one won't happen for another 99 years. It is simply a statistical designation based on historical weather data.

Civil and environmental engineers use hydrologic and hydraulic modeling to design stormwater systems. For a 100-year event, this process involves several key steps, including first determining the runoff volume the 100-year storm would generate from a specific area, taking into account soil types, vegetation, and impervious surfaces. Once the runoff volume has been determined the pond size necessary to hold the stormwater upon peak flow without overflowing is determined – including managing overflows. Structures are then designed to be built to a specified height above the projected 100-year flood elevations that are established to keep them protected.


Sailors Haven in Sunset Beach, NC
Preliminary Site Map
Sailors Haven
preliminary Site Map for Sailors Haven
Data Courtesy Brunswick County
For Information Purposes Only
Data Subject to Change

HOME
Page
New Homes in Myrtle Beach
By Builder
New Homes in Myrtle Beach
By Community
Useful
References
New Homes in Myrtle Beach
News
New Homes in Myrtle Beach
Future Subdivisions
New Homes in Myrtle Beach
Recently Completed
New Homes in Myrtle Beach
Site Map
Vsansant Realty Group - Full service real estate brokerage serving Myrtle Beach.
(843) 940-3609