New Homes Myrtle Beach - Site will list all new homes in Myrtle Beach, SC
New Homes in Myrtle Beach
(843) 940-3609

This New Homes in Myrtle Beach site is focused solely on providing a simplified guide to all of the new home communities in Myrtle Beach, SC. This web site is independently managed to serve and support development of the Myrtle Beach community and is a unique Myrtle Beach new home resource. All Myrtle Beach new home communities are presented without the influence or dependence of community or builder advertising. Input to improving the quality of this community resource presenting new construction in Myrtle Beach is welcomed and appreciated. Information on this site was last updated April 2026.
Westfield
Myrtle Beach New Home Community By Great Southern Homes
114 Westfield Circle, Conway, SC, 29526
Westfield by Great Southern Homes in Conway
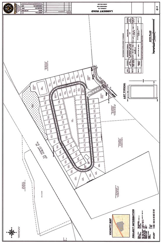
Westfield Conceptual Plan - For Information Only
Data Courtesy of Horry County
Conceptual Plan - For Information Only
Westfield Site Map
Great Southern Homes
New home community of Westfield in Conway by Great Southern Homes

Prices (estimate only) Starting from : 305,900
Summary of this Myrtle Beach Area New Home Community:
Westfield is a new home community in northern Conway that began presales in June of 2025.

Horry County approved the development of 74 single family homes directly off of Lambert Road in Conway. This 32 acre tract of land was purchased by Creekside Homes in 2022. In August of 2023, Creekside Homes sold this 32 acres parcel of land to PC Land Development.

In July 2024, Great Southern Homes (GSH) LLC purchased this property.

Great Southern Homes will be building 73 single family homes in the new home community of Westfield.

The location of this new home community in Conway is very conveniently located close to the intersection of Highway 501 and Highway 22.

Woodland Farms (D. R. Horton), Night Owl Farms (Beverly Homes), and The Preserve @ Cypress Common (D. R. Horton) are a few of the other subdivisions being developed nearby.

Great Southern Homes is offering both one and two-story homes in the new home community of Westfield in Conway. This new home community features sidewalks and energy-efficient coastal living homes within the Aynor School District. This new home community will have a community center and a pickleball court.

Great Southern Homes is offering the following floor plans in the new home community of Westfield in Conway.

Wisteria II – 3 bedrooms, 2 bathrooms, 1,773 square feet of living space. Wisteria II is a single-story home featuring foyer, family room with vaulted ceiling, kitchen with oversized pantry, peninsula and optional island. Large formal dining room too! Also included is a covered patio. Owners suite features vaulted ceiling, double sinks, garden tub, water closet, separate shower and a large walk-in closet. Plus, two additional bedrooms, full bath, and more.

Rivercrest II – 4 bedrooms, 2 bathrooms, 2,454 square feet of living space. Rivercrest II is 2-story home, designed to cater to your every need. As you step inside, you'll be greeted by a charming covered front porch, leading you into a seamlessly integrated Dining and Kitchen area – an ideal space for both casual family meals and sophisticated gatherings. The heart of the home, the expansive Family Room, beckons with its inviting atmosphere, offering a comfortable retreat for relaxation and entertainment. The first floor is thoughtfully designed to include a luxurious primary suite, a true sanctuary boasting an oversized walk-in closet, separate vanities, a relaxing garden tub, and a separate walk-in shower. Privacy and convenience are paramount, with a discreetly located Guest Bath, a practical Garage Entry area, and a well-appointed Laundry Room tucked away from the main living spaces. On the second floor, four generously sized bedrooms provide ample space for family, guests, or hobbies, while two full bathrooms ensure convenience for all. An open Loft Area offers a flexible space that can be customized to your lifestyle – whether it be a playroom, home office, or additional living area. Bedroom 5 presents a unique opportunity to create a second-level guest suite, providing a private and comfortable space for visitors. Ample storage solutions throughout the home ensure that you'll have plenty of room to keep your belongings organized and out of sight.

Courtland II – 4 bedrooms, 2 bathrooms, 1,885 square feet of living space. Courtland II is a single-story home offering 1,885 square feet of comfortable living space. This spacious 4-bedroom, 2-bathroom residence is perfect for families of all sizes, with a modern open-concept layout that brings people together. At the heart of the home, the great room, dining area, and kitchen seamlessly flow into one another—ideal for both everyday living and entertaining. The kitchen is a standout feature, complete with a central island that includes a sink and plenty of prep space, making it both functional and stylish. The private owner’s suite offers a relaxing retreat, featuring a spacious master bathroom and a large walk-in closet for added convenience. Three additional bedrooms provide flexibility for guests, a home office, or a growing family. Step outside to enjoy the covered patio—perfect for outdoor dining or quiet evenings. A two-car garage completes this smartly designed home, blending comfort and practicality in every detail.

Addison II – 3 bedrooms, 2 bathrooms, 1,832 square feet of living space.

Bailey II – 3 bedrooms, 2 bathrooms, 1,637 square feet of living space.

Great Southern Homes has become one of the Southeast’s leading homebuilders. Great Southern Homes has built over 11,000 homes since 2004 and they understand the importance of large family rooms, owners’ suites with garden tub retreats, open floor plans for fabulous entertaining, spacious kitchens with plenty of storage, and a variety of bedroom layouts to suit your lifestyle and budget.

NOTE: In January 2024, United Homes Group, Inc. (UHG), announced that it acquired the homebuilding business and assets of Creekside Custom Homes, LLC, a home builder and land developer in the Coastal region of South Carolina. Creekside builds homes primarily in the rapidly growing Myrtle Beach market with a product set that aligns with the existing Great Southern Homes brand in the marketplace.UHG operates in the southeastern United States, with its builder brand Great Southern Homes having an emphasis on South Carolina, Georgia, and soon North Carolina markets.

The Creekside acquisition nearly doubles UHG’s presence in the fast-growing Myrtle Beach market and allows UHG to control an attractive future lot position consistent with the UHG land-light strategy.

The Coastal markets in UHG’s footprint continue to benefit from a favorable quality of life and affordability that is driving in-migration from all over the country.
Jamie McLain, owner of Creekside, is staying on as the Coastal Division Land Manager of UHG’s associated land developer, and the Creekside team will join Great Southern Homes’ Coastal division.

Great Southern Homes is well committed to building in Myrtle Beach and the surrounding areas.

Great Southern Homes is pricing the homes in Westfield starting in the low $300's.

Existing Homes for Sale in this Myrtle Beach Area New Home Community:
This new home community in Conway of Westfield off of Lambert Road started presales in June of 2025.

Homes for Sale in Westfield

Myrtle Beach New Home Community News
New construction in Myrtle Beach - all active listings of new construction in Myrtle Beach
Myrtle Beach New Home Community News

Vansant Realty Group - real estate brokerage firm servicing Conway and the surrounding areas of Myrtle Beach.
(843) 940-3609
The builder of this Myrtle Beach new home community, Great Southern Homes, is also invested in other Myrtle Beach area new home communities. Below you will find other new home communities in Myrtle Beach which this builder is developing.
CommunityStarting PriceAreaAddressSubdivision Status
Hide details for Great Southern HomesGreat Southern Homes
Avery Woods$299,900Longs105 Avery Woods DriveUnder Construction
Beach Gardens$289,990Conway389 Palmetto Sand LoopUnder Construction
Briarfield$269,990Conway416 Hallie Martin RoadUnder Construction
Buck Creek CoveLongsHighway 9 EastFuture Subdivision
Carroll FarmsConwayW Hwy 19 and Hwy 668Future Subdivision
Edgefield$276,990LorisHwy 144 & Camp Swamp RoadUnder Construction
Elmhurst$260,000Conway4100 Danby LaneUnder Construction
Grissett Landing$305,900Conway107 Grissett Lake DriveDevelopment Completed 2026
Half Moon BayLongsToanki Lane and Tallwood Rd Future Subdivision
Highway 129$294,900AynorHighway 129Under Construction
Huckleberry Lane$330,900ConwayHuckleberry LaneDevelopment Completed 2025
King Farm Estates$294,990Aynor3013 Gadwell DriveUnder Construction
Kingston Bluff$290,000Longs100 Kingston Bluff DriveDevelopment Completed 2022
Liberty Estates$257,900Loris3454 Harrelson AvenueUnder Construction
Log Cabin Road$276,900Loris948 Log Cabin RoadUnder Construction
Maple FarmsConwayHuckleberry LaneFuture Subdivision
Mount Pillar Estates$257,000LorisScarbrough DriveUnder Construction
Myrtle WestLorisMyrtle West DriveFuture Subdivision
Oak Grove$296,990ConwayHighway 378 & Pee Dee HwyUnder Construction
Oak Hollow$295,900Longs115 Crabapple DriveUnder Construction
Timber Ridge$280,000Longs315 Red Maple LoopDevelopment Completed 2023
Westfield$305,900Conway114 Westfield CircleUnder Construction
Westwood Reserve$299,990ConwayCollins Jollie Rd & Randall RdUnder Construction
White Oak Estates$287,900ConwayTiger Tail RoadUnder Construction
Wild Wing Plantation$387,900Conway1905 Wood Stork DriveGreat Southern Completed 2023

HOME
Page
New Homes in Myrtle Beach
By Builder
New Homes in Myrtle Beach
By Community
Useful
References
New Homes in Myrtle Beach
News
New Homes in Myrtle Beach
Future Subdivisions
New Homes in Myrtle Beach
Recently Completed
New Homes in Myrtle Beach
Site Map

The Myrtle Beach community is rapidly growing and the new construction opportunities in Myrtle Beach are ever-changing. A significant amount of time is dedicated to ensuring that the content on this site is comprehensive and accurate. The efforts of our sponsors are greatly appreciated.
New Homes in Myrtle Beach
Primary Sponsor
Vsansant Realty Group - Full service real estate brokerage serving Myrtle Beach.
(843) 940-3609

Links to Useful Resources for Longs, SC